Hurricane Tracker: Find Storms With Google Maps

V.Redandblue 127 views
Hurricane Tracker: Find Storms With Google Maps

Hurricane Tracker: Find Storms with Google Maps

Hey everyone! Today, we’re diving deep into how you can use Google to answer that all-too-important question: “Where is the hurricane now?” When a storm is brewing, knowing its exact location, its projected path, and its intensity is super crucial. It’s not just about satisfying curiosity; it’s about safety , preparation, and peace of mind for you, your family, and your community. We all know how quickly these powerful natural events can change course and impact lives, so having reliable, real-time information is absolutely key. Thankfully, in our modern digital age, tools like Google Maps and other online resources have made tracking hurricanes more accessible and straightforward than ever before. Forget relying solely on weather reports that might be hours old; you can now get up-to-the-minute updates right at your fingertips. This article is going to break down exactly how you can leverage these tools, understand the data they provide, and stay ahead of the storm. We’ll cover everything from the basic search queries that get you started to more advanced features you might not even know existed, all designed to help you stay informed and safe. So, grab a coffee, settle in, and let’s get you storm-ready!

Using Google Search for Hurricane Updates

So, you’ve got that nagging feeling, or maybe the news is buzzing about a potential hurricane. Your first instinct might be to hop onto Google and type in, “where is the hurricane now?” Guys, this is probably the quickest and easiest way to get initial information. When you perform this search, Google’s powerful algorithms go to work, scanning vast amounts of data from meteorological agencies, news outlets, and specialized storm-tracking websites. What you’ll typically see is a prominent display at the top of your search results, often featuring an interactive map. This map usually shows the storm’s current location, its predicted track over the next few hours and days, and key details like wind speed, pressure, and whether it’s strengthening or weakening. Think of it as a quick-glance dashboard for the storm. It’s designed to give you the most critical information upfront without you having to click through multiple links. Beyond the map, you’ll find links to official sources like the National Hurricane Center (NHC) in the US, or equivalent agencies in other regions. These links are gold, offering more detailed analyses, advisories, and forecasts. It’s super important to rely on these official sources because they have the most accurate and up-to-date data. Don’t just stop at the first result; click through to the NHC or your local meteorological service. They often provide satellite imagery, which can be fascinating and informative, showing you the actual cloud patterns and structure of the storm. You’ll also find information about storm surge potential, rainfall predictions, and hurricane-force wind probabilities for different areas. This initial Google search is your gateway to comprehensive storm awareness . It’s about getting that immediate sense of the threat and then knowing where to dig deeper for the specifics that matter most for your safety planning. Remember, the sooner you start tracking, the better prepared you’ll be.

Leveraging Google Maps for Real-Time Tracking

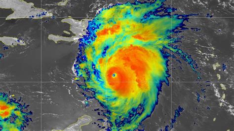
While a direct Google search is fantastic for a quick overview, diving into Google Maps itself can offer an even more interactive and detailed way to track a hurricane. If your initial search pops up a map, you can often click on it to expand it within Google Maps. Alternatively, you can directly search for terms like “hurricane tracking map” or look for specific storm names if you know them (e.g., “Hurricane Ian live map”). Once you’re in Google Maps, you’ll see the storm system represented as a distinct icon, often with a projected path line stretching out ahead of it. This path line is crucial; it’s not just a guess, but a scientifically calculated forecast based on current atmospheric conditions and steering currents. You can usually click on different points along this path to see the estimated time of arrival and intensity at that location. What’s really cool is that Google Maps often overlays other relevant information. You might see areas shaded to indicate different levels of potential impact, such as hurricane-force wind zones or areas prone to storm surge. This visual representation is incredibly powerful for understanding the potential reach of the storm. You can zoom in and out, pan across different regions, and see how the storm’s projected path intersects with populated areas. This is where you can really start to assess the risk to your specific location or the locations of loved ones. Many storm-tracking websites also integrate with Google Maps, embedding their data onto the familiar interface. This means you might see additional layers like real-time rainfall radar, wind speed contours, and even webcams showing current conditions in affected areas. It transforms a static map into a dynamic, living information hub . For us guys trying to stay ahead of the weather, this level of detail is invaluable. It allows for a much more nuanced understanding of the threat than just a simple news report. You can practically see the storm’s journey and anticipate its arrival with much greater clarity. So, don’t underestimate the power of actively exploring Google Maps when a hurricane is active; it’s your personal storm command center!

Understanding Hurricane Data on Google Maps

Alright guys, now that you’re getting comfortable with using Google Maps to track hurricanes, let’s talk about what all that data actually means . Seeing those colorful cones and lines is one thing, but understanding the nuances can make all the difference in your preparedness. The most important element you’ll see is the cone of uncertainty . This isn’t a prediction of where the hurricane will go, but rather the area where the center of the storm is forecast to track over the next 120 hours (5 days). The National Hurricane Center (NHC) constantly updates this cone based on the latest model data. The wider the cone, the greater the uncertainty in the forecast, especially in the longer term. So, if your area is within the cone, it means there’s a possibility that the center of the storm could pass over you. It doesn’t mean it will , but you absolutely need to prepare as if it might. Beyond the cone, look for the track line . This is the most probable path of the storm’s center. Meteorologists use various computer models to determine this, and the track line represents the consensus or the most likely outcome. Accompanying the map, you’ll find crucial statistics. Maximum sustained wind speed tells you how strong the winds are currently blowing. This is often categorized using the Saffir-Simpson Hurricane Wind Scale (Category 1 to 5). Minimum central pressure is another key indicator; the lower the pressure, the stronger the storm generally is. You’ll also see information about storm motion (how fast and in what direction the hurricane is moving) and potential hazards like storm surge warnings and flood watches/warnings . Storm surge is particularly dangerous, as it’s the abnormal rise of water generated by a storm, over and above the predicted astronomical tide. Google Maps often visualizes these surge zones, showing you areas at risk of inundation. Understanding these data points empowers you to make informed decisions about evacuations, securing your property, and stocking up on essential supplies. It’s about translating those map graphics into actionable safety measures. So, take a moment to really digest what the data is telling you; your safety depends on it!

Alternative Tools and Official Sources

While Google and Google Maps are incredibly powerful and convenient tools for tracking hurricanes, it’s always wise to supplement this information with other resources, especially official sources . Relying on just one platform, even a robust one like Google, isn’t always the best strategy when lives and property are on the line. Think of Google as your starting point and your easy-access visualizer, but the definitive word often comes from dedicated meteorological agencies. The National Hurricane Center (NHC) is the gold standard for the Atlantic and Northeast Pacific basins. Their website (nhc.noaa.gov) provides the most authoritative forecasts, advisories, watches, and warnings. They issue regular updates, and their information is what directly feeds into many other tracking tools, including those used by Google. For regions outside the NHC’s purview, similar national meteorological services are your go-to. For instance, the Joint Typhoon Warning Center (JTWC) covers the Western Pacific, and agencies like the Bureau of Meteorology in Australia or Met Office in the UK handle their respective regions. Beyond these official sites, there are other reputable third-party apps and websites that offer excellent hurricane tracking capabilities. Many weather apps on your smartphone have dedicated storm-tracking features that often use NHC data and present it in user-friendly formats. Examples include The Weather Channel app, AccuWeather, and specialized hurricane apps. Some of these offer push notifications for critical alerts, which can be a lifesaver. These apps often provide additional layers of information like detailed radar loops, lightning tracking, and even real-time social media feeds from affected areas (though always be discerning with social media!). Some platforms also offer historical hurricane data, which can be useful for understanding storm patterns over time. The key takeaway, guys, is redundancy and verification . Cross-reference information between Google Maps, the official NHC (or your regional equivalent), and a trusted weather app. This layered approach ensures you’re getting the most accurate, up-to-date picture and can have the highest confidence in the information guiding your safety decisions. Don’t just rely on the slick interface; ensure the underlying data is sound and comes from credible, official channels.

Preparing for a Hurricane Using Real-Time Data

Okay, so you’ve been diligently tracking the hurricane using Google Maps and official advisories. You know its current location, its projected path, and the potential hazards. Now, the big question is: how do you use this real-time data to prepare effectively? This is where information translates directly into action. First and foremost, heed evacuation orders. If authorities issue an evacuation order for your area, take it seriously and leave immediately. The data you’ve seen on Google Maps – the projected path, the storm surge potential, the wind speed predictions – are the reasons behind that order. Don’t wait until the last minute when roads might be flooded or impassable. Your safety is paramount , and evacuation orders are issued to protect lives. If you are not in an evacuation zone but are in an area expected to experience significant impacts (high winds, heavy rain), it’s time to secure your home . This means bringing in any outdoor furniture, decorations, or garbage cans that could become projectiles in high winds. Board up windows and doors if necessary, especially if you live in an area prone to hurricane-force winds. Prepare a disaster kit with essentials like water, non-perishable food, medications, a first-aid kit, flashlights, batteries, and a battery-powered or hand-crank radio. Having real-time updates helps you gauge the urgency of these preparations. If the storm is rapidly intensifying or changing course towards you, you need to accelerate your efforts. Charge all your electronic devices – phones, laptops, power banks. Knowing the potential for power outages, which are almost certain in a significant hurricane, makes this step critical. Download offline maps of your area and important contact information in case cell service is disrupted. Stay informed continuously. Don’t just check the map once and assume you’re good. Keep monitoring updates, as forecasts can and do change. This continuous vigilance, informed by reliable data from sources like Google Maps and the NHC, is your best defense. It allows you to adapt your plans as the situation evolves, ensuring you and your loved ones are as safe as possible when the storm makes landfall. Remember, preparation is key, and real-time data is your most powerful tool in that process.

Staying Safe During and After the Storm

As the hurricane approaches and makes landfall, your focus shifts from preparation to staying safe and navigating the immediate aftermath. Continuous monitoring via tools like Google Maps and official advisories remains critical, even as conditions deteriorate. Stay indoors and away from windows and doors. If you are in a safe location, resist the urge to go outside to observe the storm. The eye of the storm can be deceivingly calm, but the dangerous eyewall will return with destructive winds and rain. Listen to authorities regarding any further instructions or shelter-in-place mandates. Conserve battery power on your devices for essential communication. If you lose power, rely on your battery-powered radio for updates from emergency officials. Once the storm has passed your immediate area, do not assume it is safe to go outside immediately . Wait for the