Stage 5 Hurricane: What You Need To Know

V.Redandblue 147 views
Stage 5 Hurricane: What You Need To Know

Stage 5 Hurricane: What You Need to Know

Hey there, weather enthusiasts! Ever wondered what a stage 5 hurricane truly looks like? Well, buckle up, because we’re diving deep into the heart of these monstrous storms. We’ll be exploring everything from wind speeds to the sheer devastation they unleash. In the world of hurricanes, stage 5 is the ultimate, the top of the food chain, the big kahuna. It’s the point where these natural forces reach their peak intensity, packing winds that can obliterate everything in their path. Let’s get started, shall we?

Understanding the Saffir-Simpson Hurricane Wind Scale

Before we jump into the eye of the storm, let’s take a quick look at how we measure these behemoths. The Saffir-Simpson Hurricane Wind Scale is our go-to guide for categorizing hurricanes. It’s like a grading system for these storms, with categories ranging from 1 to 5. Each category corresponds to a specific range of sustained wind speeds. When a hurricane reaches stage 5, it’s operating at its most dangerous. To be classified as a stage 5 hurricane, a storm must have sustained winds of 157 mph (252 km/h) or higher . These aren’t just your average breezes, folks; these are winds that can tear apart buildings, uproot trees, and hurl debris with deadly force. The Saffir-Simpson scale helps us understand the potential damage and impacts associated with each category. It is a critical tool for meteorologists, emergency managers, and the public to assess and prepare for the threats posed by hurricanes. The scale provides a clear framework for communicating the intensity of a hurricane, making it easier to understand the potential risks and necessary precautions. The higher the category, the more severe the potential damage.

The Impact of Wind Speed

The most obvious characteristic of a stage 5 hurricane is its incredible wind speed. At these speeds, the wind becomes an incredibly destructive force. It’s not just about the velocity; it’s also about the pressure. High winds create tremendous pressure on structures, which can cause roofs to be ripped off, walls to collapse, and entire buildings to be leveled. It’s like a giant invisible hand, pushing and pulling with unimaginable strength. The impact of wind is felt everywhere. Furthermore, the wind can carry debris, turning everyday objects into dangerous projectiles. Cars, trees, and even large pieces of infrastructure can be picked up and hurled through the air, causing further damage and posing significant threats to life. The wind’s power doesn’t stop with immediate destruction; it also contributes to flooding by pushing storm surges inland. These surges can inundate coastal areas, causing catastrophic damage. High wind speeds are the hallmark of a stage 5 hurricane, setting the stage for widespread devastation.

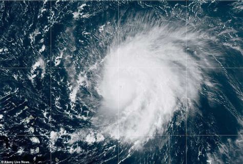
Visualizing a Stage 5 Hurricane

So, what does a stage 5 hurricane look like, visually? Imagine a colossal swirling vortex, a churning mass of clouds that can span hundreds of miles. From space, these storms are truly awe-inspiring, but also terrifying. You’ll see a distinct eye, the relatively calm center of the hurricane, surrounded by the eyewall – a ring of intense thunderstorms where the most powerful winds and heaviest rainfall occur. The eyewall is the most dangerous part of the hurricane. The intense thunderstorms in the eyewall are composed of towering cumulonimbus clouds, which are associated with torrential rainfall, frequent lightning strikes, and sometimes even tornadoes. The eye itself can vary in size. Some eyes are small, only a few miles wide, while others can be much larger. The size and shape of the eye can influence the hurricane’s intensity and the duration of the storm’s impact on a particular area. The storm’s outer bands extend outwards from the eyewall, spiraling towards the center. These bands contain showers, thunderstorms, and occasional bursts of strong winds. They can extend hundreds of miles from the hurricane’s center, bringing significant rainfall and potential flooding to areas far from the eye. The overall appearance is a dynamic, ever-changing system. It’s a display of nature’s raw power. The constant churning, the interplay of clouds, and the sheer size of the storm create an unforgettable spectacle – a reminder of the forces at play.

The Eye and Eyewall

Let’s zoom in a bit. The eye of a stage 5 hurricane is often the calmest part, but don’t be fooled. It’s surrounded by the eyewall , the most intense part of the storm. The eyewall is where the strongest winds are found. This is where the hurricane’s power is concentrated. The winds in the eyewall are relentless. These winds can cause immense damage. Structures can be torn apart, trees uprooted, and debris becomes deadly projectiles. The eyewall’s intense thunderstorms bring torrential rain and frequent lightning, adding to the dangers. The transition from the eye to the eyewall is sudden and dramatic. One moment, you might experience a lull, and the next, you’re hit with the full force of the hurricane. The size and shape of the eye and eyewall can vary. These variations can influence the hurricane’s intensity and how long a specific area experiences the storm’s full force. The eyewall is not static. It can change over time. The dynamics within the eye and eyewall are constantly evolving. This makes these storms unpredictable.

Outer Rainbands

Beyond the eyewall, you’ll find the rainbands. They spiral outwards from the center of the storm. These rainbands can extend hundreds of miles, bringing heavy rain, strong winds, and the possibility of tornadoes. The rainbands are areas of intense rainfall and thunderstorms, contributing to the overall impact of the hurricane. The winds in the rainbands, while not as strong as in the eyewall, can still cause significant damage. The prolonged rainfall can lead to extensive flooding, especially in areas with poor drainage. Tornadoes are a common threat in the outer rainbands. The interaction of the hurricane’s circulation with other weather systems can generate these destructive twisters. The rainbands play a crucial role in the hurricane’s overall impact. They contribute to widespread rainfall and flooding. The effects of the outer rainbands can be felt far away from the hurricane’s center, extending the area of concern and increasing the risk for those in the storm’s path. These outer rainbands are part of the larger picture, representing a complex interplay of atmospheric forces.

The Devastating Effects of a Stage 5 Hurricane

Okay, so we’ve seen what it looks like. Now, let’s talk about the consequences. The effects of a stage 5 hurricane are nothing short of catastrophic. They cause widespread destruction, from structural damage to coastal erosion and devastating flooding. The relentless winds can demolish buildings, infrastructure, and everything in their path. The surge of seawater, driven by the hurricane’s force, can inundate coastal areas, washing away homes and displacing entire communities. The heavy rainfall leads to flooding, compounding the destruction and creating life-threatening conditions. The effects of a stage 5 hurricane are widespread, affecting every aspect of life in the impacted areas. They can cause widespread power outages, disrupt essential services, and displace thousands, or even millions, of people. The economic impact can be staggering, with billions of dollars in damage. The environmental impact is also significant, as the storms can damage ecosystems, contaminate water supplies, and disrupt wildlife habitats.

Structural Damage

The winds in a stage 5 hurricane can cause incredible structural damage. Homes, businesses, and critical infrastructure can be completely destroyed. The damage can be so severe that communities are left unrecognizable. The wind’s force can lift roofs off buildings, rip walls apart, and shatter windows. The resulting debris becomes a deadly hazard, with objects hurled through the air at incredible speeds. The destruction isn’t limited to buildings; it extends to power lines, communication systems, and transportation networks. The destruction can disrupt essential services and make it difficult for people to access help. The cost of rebuilding and repairing the damage can be incredibly expensive, straining resources and taking years to recover.

Storm Surge and Flooding

Storm surge is the rise in sea level that occurs during a hurricane. Stage 5 hurricanes generate incredibly powerful storm surges, which can inundate coastal areas. The storm surge can cause widespread flooding, washing away homes, businesses, and infrastructure. The floodwaters can also erode coastlines and contaminate freshwater supplies with saltwater. The impact of storm surge can extend far inland, depending on the topography of the area and the storm’s intensity. The flooding can make it impossible for people to evacuate or receive assistance. Floodwaters pose significant risks, including drowning, waterborne diseases, and damage to property. It takes a lot of time to recover from the devastation. The floodwaters can also damage ecosystems and habitats, affecting wildlife and the environment. Understanding and preparing for storm surge is critical to protecting coastal communities. Flood mitigation strategies are essential to reducing the impact of these devastating events.

Secondary Effects

Besides the obvious, stage 5 hurricanes can trigger a range of secondary effects. These include power outages, which disrupt essential services and daily life. The lack of electricity can affect everything from communication systems to medical facilities, creating significant challenges for those affected. The hurricanes can also lead to widespread landslides, especially in mountainous regions. These landslides can damage infrastructure, block roads, and pose threats to human life. Water contamination is another major concern. The flooding can contaminate water supplies with sewage, chemicals, and other pollutants, increasing the risk of waterborne diseases. The disruption of essential services, coupled with the immediate aftermath of the storm, can lead to food and supply shortages. Communities face immense challenges in the wake of a stage 5 hurricane, from dealing with infrastructure damage to the long-term emotional and economic consequences. Preparedness and resilience are crucial to mitigate the effects.

Preparing for a Stage 5 Hurricane

Since we can’t stop these storms, preparation is key. Here are some tips to keep yourself and your family safe. First, stay informed . Monitor weather forecasts and heed any evacuation orders. Plan your evacuation route ahead of time and know where you’ll go. Secure your home by reinforcing windows and doors. Trim trees and remove any loose objects that could become projectiles. Stock up on essential supplies. This includes food, water, medications, and any other necessities you’ll need. Have a disaster kit ready. Make sure to have a battery-powered radio or a NOAA weather radio, so you can stay informed. Ensure you have a plan in place for your pets, too. Familiarize yourself with local emergency plans and know where to find shelters. Know your risk and understand the potential hazards. It’s important to have a communications plan in place. Make sure you have a way to contact family members and let them know your status. Stay safe and be prepared.

Evacuation and Safety Measures

Evacuation is often the most important step in preparing for a hurricane. If local authorities issue an evacuation order, it’s crucial to follow it. Plan your evacuation route and have a safe place to go. If you are staying in your home, make sure it’s prepared. Board up windows and doors to prevent damage from strong winds. Move any loose objects. Secure or bring them indoors. Make sure you have enough supplies. Stock up on food, water, and essential medications. Have a first-aid kit and other emergency supplies on hand. Make sure you have a way to receive weather updates. Have a battery-powered radio or a NOAA weather radio to stay informed. Always follow the instructions from local authorities. They are your best resource for staying safe during a hurricane. Have a plan for your pets. Ensure they are safe, and know where they can go in case of an evacuation. Your safety and the safety of your family should be your top priority. Make smart decisions.

Essential Supplies and Disaster Kits

A well-stocked disaster kit is essential for weathering a stage 5 hurricane. Your kit should include items like food and water. Have enough non-perishable food to last for several days, along with a supply of clean drinking water. Make sure you have a first-aid kit. It should include bandages, antiseptic wipes, and any personal medications. Have a flashlight and extra batteries. Power outages are very common. A battery-powered or hand-crank radio is also essential. Have a way to receive weather updates. Important documents, such as insurance papers and identification, should be kept in a waterproof bag. Other important items include a whistle to signal for help, a map of your area, and a manual can opener. Don’t forget to include personal hygiene items, like soap, toothpaste, and toilet paper. Having a disaster kit will make you better prepared to deal with whatever the storm brings.

Conclusion

A stage 5 hurricane is a force of nature. Understanding what it looks like and the damage it can cause is critical for staying safe. By staying informed, preparing your home, and having a disaster plan, you can increase your chances of surviving these powerful storms. Remember, the best defense is preparation. Stay safe, everyone!